Vespa philippinensis
Перейти к навигации
Перейти к поиску
Vespa philippinensis
Систематика
Научная классификация
- Царство
- Тип
- Членистоногие
- Класс
- Насекомые
- Отряд
- Перепончатокрылые
- Семейство
- Настоящие осы
- Род
- Vespa
- Вид
- Vespa philippinensis
Международное научное название
Vespa philippinensis Saussure, 1854
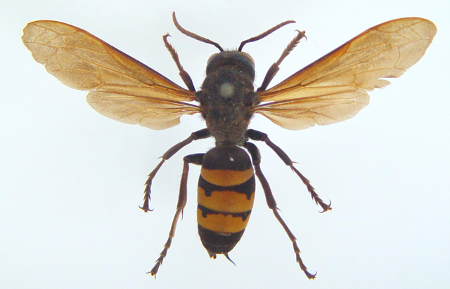
Vespa philippinensis — шершень, обитающий на Филиппинах[1].
Общие сведения[править]
Животное впервые описал Анри де Соссюр (Henri Saussure) в 1854 году.
Данный шершень является эндемичным для Филиппин.
Колония может содержать 700 взрослых особей и более. Образ жизни сходен с другими видами рода Vespa.
Источники[править]
- ↑ Bisby F.A., Roskov Y.R., Orrell T.M., Nicolson D., Paglinawan L.E., Bailly N., Kirk P.M., Bourgoin T., Baillargeon G., Ouvrard D. (red.) (2011). Species 2000 & ITIS Catalogue of Life: 2011 Annual Checklist.. Species 2000: Reading, UK..
